Baerz & Co is een landelijk samenwerkingsverband van zorgvuldig geselecteerde boutique luxury makelaars. Samen vormen wij één netwerk, met één gedeeld aanbod. De woningen die u op onze website ziet, zijn afkomstig van alle aangesloten kantoren binnen Baerz & Co. Daardoor is niet ieder object rechtstreeks door ons kantoor in verkoop, maar door een gespecialiseerde collega binnen ons netwerk. Heeft u een woning gevonden die u aanspreekt en wilt u meer informatie? Dan brengen wij u graag persoonlijk in contact met de betreffende verkoopmakelaar, zodat u direct en zorgvuldig wordt begeleid.

VORDEN
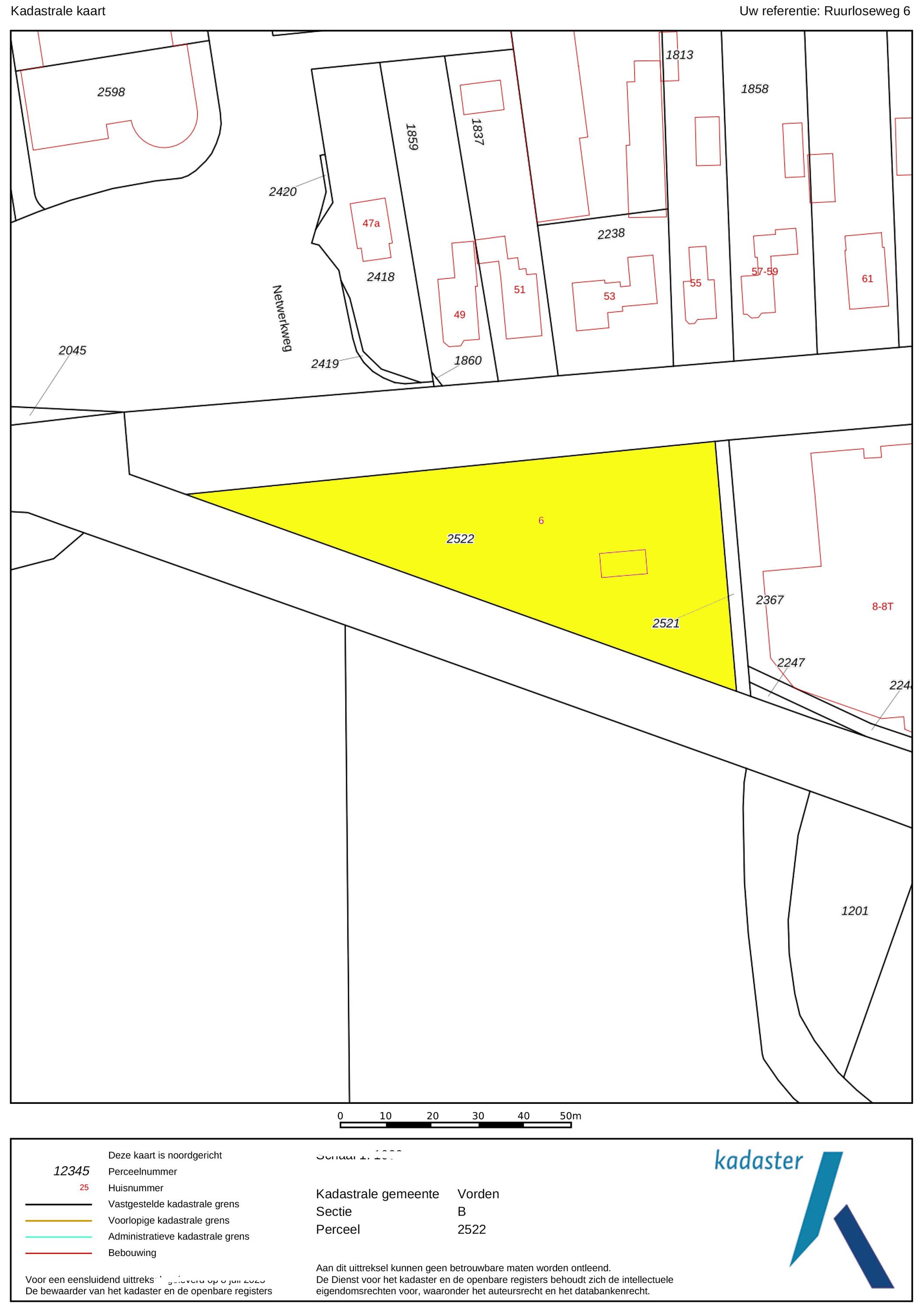
Ruurloseweg 6 - 7251 LK
Nederland

Jenne de Haan profile image
Jenne de Haan
Real Estate Agent
€1.045.000 k.k.
Woonoppervlakte
237m2
Perceeloppervlakte
3100m2
Slaapkamers
4

Omschrijving

Wie Vorden kent, kent ongetwijfeld deze spectaculair mooie villa, Villa Rozenhof (1933). Niet alleen de architectuur – van de hand van Vordens eigen architect Piet Bakker – springt in het oog, maar ook de ligging en de fraai aangelegde parktuin maken Rozenhof tot een uitzonderlijk ensemble. Bakker heeft een huis gecreëerd dat behept is met een keur aan invloeden uit de tijd. Het werd een dijk van een villa, met een dito voetafdruk; met een woonoppervlakte van 237m² is het een ware kolos. Maar, overal is de menselijke maat behouden en daardoor voelt dit huis als een warme jas.

Een villa met persoonlijkheid
De huidige bewoners hebben hier lang gewoond en het is dan ook zonneklaar dat er veel van dit huis werd en wordt gehouden. Hoewel de villa geen monument is, is het met veel liefde, kennis en kunde de 21ste eeuw binnengeloodst. Het is immers in deze tijden van verduurzaming goed om erbij stil te staan dat er maar weinig objecten zó duurzaam en circulair zijn, als dit soort bijzondere huizen. Deze woning is daarbij goed geïsoleerd en op het dak van de garage liggen 27 zonnepanelen. Daarbij kunt u dit huis met de open haard en de elektrische haard met schouw en een Rayburn in de keuken heerlijk warm houden.

Bakker ontwierp – net als veel van zijn vakbroeders – ‘gesamtkunstwerken’; exterieur en interieur vloeien moeiteloos in elkaar over en over alle details werd nagedacht. Over een getrapte brug in de hal, over hoe het zonlicht de kleuren van de glas-in-loodbovenlichten zou uitstrooien over de vloer, over de plafonds, over de trap, de erker, de roedeverdelingen en het eigenzinnige pentagoonvenster in de tuinkamer – echt alles is onderdeel van het geheel. Een huis met een heel eigen karakter.

Een royaal familiehuis
Als een grote gelukkige taartpunt ligt het perceel langs het spoor. En wat voor een perceel; 3.100 m2 met een beeldige, parkachtige tuin die steeds verrast met charmante hoekjes, doorkijkjes, ruimte en opstallen. En, het is perfect gelegen wat de bezonning betreft, want het huis is perfect noord-zuid georiënteerd.

Het huis is geknipt voor grote gezelschappen; een familiehuis ‘pur sang’. Of u hier nu samen bij de kerstboom zit, of uw 12,5-jarig huwelijk viert met iedereen die u lief is, dit huis biedt u met haar grote woonoppervlak alle ruimte. Maar, dat betekent dat er ook plaats genoeg is voor bijvoorbeeld inwonende ouders, kinderen binnen een samengesteld gezin of mantelzorgers. Er zijn nu vier ruime slaapkamers, maar de zolder biedt nog alle ruimte voor nog één à twee extra kamers. Hier loopt men niemand voor de voeten.

De tuin is sprookjesachtig, met een lay-out die voor elk wat wils biedt. Groene vingers? U zit hier gebeiteld, want in deze volwassen tuin is er nog genoeg ruimte om uw eigen invulling te geven. Er is een kweekkas en een gezellig kippenhok met ren. De oude boomgaard heeft dit jaar een droomoogst opgeleverd en u heeft hier ook ruimte genoeg voor een moestuin. Maar, het kleine volk vermaakt zich hier ook uitstekend, met de beste verstopplekken van de hele straat, ruimte om te voetballen of te spelen in het ‘Wendy house’ (genoemd naar het huisje van Wendy uit het verhaal van Peter Pan); een wel héél bijzonder speelhuisje met een stapelbedje en een keukentje. Een toneel voor wel duizend verhalen, een peulenschil voor uw (klein)kinderen.

Maar die trein, heeft u daar als bewoner dan geen last van? Geen zorgen, dit traject (Zutphen-Winterswijk en weer terug) wordt alleen gebruikt door Arriva en er rijden uitsluitend boemeltjes. Men ervaart het nauwelijks, maar we raden u van harte aan het vooral zelf te komen beleven.

Vorden
Het huis ligt op vijf minuten vanaf het centrum van Vorden, met het gezellige plein, de winkels, de bakker, slager en groenteman, en uiteraard de horeca. Vorden is echt een pareltje in het hart van de Achterhoek en het staat bekend als het Acht-kastelendorp. Fietsers, wandelaars en vakantiegangers kunnen hier eindeloos genieten van de vele fietsroutes en wandelpaden.

Vorden is gelegen in de gemeente Bronckhorst, die enkele jaren terug nog tot Wandelgemeente van het Jaar werd uitgeroepen. Het is dat die titel niet jaarlijks aan dezelfde gemeente kan worden uitgedeeld, maar er valt hier ongelofelijk veel te ontdekken, te voet, te fiets of anderszins.

Het is bij uitstek een plek voor levensgenieters en bourgondiërs, het hele jaar door; in het najaar, wanneer het wildseizoen aanbreekt, bieden de vele restaurants in de omgeving prachtige wildkaarten aan. Er valt hier héél erg veel te genieten.

Begane grond
Entree aan de voorzijde. Er is een klassieke vestibule die leidt naar de centrale hal, met de getrapte doorgang. De royale hal met de fraaie, originele terrazzovloer is licht en zonnig en biedt toegang tot de woonkamers en de trap naar de verdiepingen en de toegang tot de voorraadkelder.

Er zijn vier ruime woonkamers, waarvan aan de linkerzijde van de gang een charmante en suite ingericht als study, met een gezellig zitje in de erker, en aansluitend de ruime eetkamer. Op de vloer ligt een warm kersen parket. Dankzij de convectorputten is de verwarming mooi weggewerkt en heeft u hier een aangenaam binnenklimaat.

Aan de rechterzijde een heerlijke salon met openhaard en de wintertuin – nu in gebruik als muziekkamer - met het karakteristieke pentagoonvenster en openslaande deuren naar de tuin. En suite een bibliotheek met openslaande deuren naar het achtergelegen zonneterras.

Aan het einde van de centrale hal rechts de WC, de deur naar de tuin en links de gezellige keuken, het warme hart van het huis en de plek waar kookliefhebbers zich uit kunnen leven. Er staat een Rayburn-fornuis dat dubbelt als kachel en kooktoestel met twee ovens, maar ook op het kookeiland treffen we een prachtig gasfornuis met vijf pitten - inclusief een wokbrander.
De smaakvol ingerichte keuken is modern-klassiek van aard, met donkergroene fronten, veel werkruimte op de granito aanrechten, een landelijke, geblokte spoelbak met kraan en separate kokendwaterkraan (Quooker), inbouwapparatuur zoals een afwasmachine en er is ruimte voor een vrijstaande koelvriescombinatie. Daarbij is er bergruimte genoeg in de vele keukenkasten en -laden.

De inpandige garage, te bereiken vanuit de keuken, is in gebruik als riante bijkeuken met opbergkasten (met daarin een stoom/heteluchtoven en een diepvries). Tevens met ruimte voor de wasmachine en -droger, de sportkleding, natte paraplu’s en de hondenriemen. De compleetheid van het ontwerp spreekt hier ook weer uit de glas-in-loodvensters, die ook bij grijs weer een vrolijke lichtval verzorgen.

Bovenverdiepingen
Aan de overloop grenzen drie ruime en lichte slaapkamers, die alle drie een fors formaat hebben (rond de 16 m²). Alle kamers hebben een eigen wastafel, en twee kamers hebben ruime inbouwkasten. De ouderslaapkamer is voorzien van openslaande deuren en een royaal balkon.

De badkamer is heerlijk, met een ligbad met tuinzicht, een douchecabine, twee wastafels en op de gang is er een separate WC.

De zolder is bereikbaar per vaste trap en daar bevindt zich de vierde slaapkamer. De bergzolder is prachtig en ruim, en biedt allerhande perspectieven; van een extra badkamer en slaapkamer tot het creëren van een yogastudio, of ruimte voor een fanatieke pingpongcompetitie voor de hele familie.

Van appelbloesem tot fijnsparren - De tuinen
Het huis wordt omringd door een beeldige tuin. Er is een houten garage met aangrenzende carport, waardoor er ruimte is voor twee auto’s om droog te staan. Ook tuinspullen kunnen hier netjes en beschut worden opgeborgen. Door de oriëntatie van het huis ligt er achter de woning een fijn zonneterras. Verspreid over de gehele tuin vindt u gezellige zitjes. De beplanting is divers, kleurrijk en met zorg gekozen, waardoor het echt een weldaad is voor de zintuigen. Er zijn fraaie zichtlijnen, een clubje kippen in een knusse ren en in de kweekkas kunnen de dahlia’s rustig uit hun winterslaap ontwaken. Er zijn twee waterpartijen en u ervaart hier veel privacy door de besloten ligging, de manshoge hagen en de volwassen bomen.

De Wendy House is een ‘labour of love’ van de huidige bewoner, die dit bijzondere huisje vond bij de molen in Ruurlo, waar de molenaar het in de jaren ’50 voor zijn kinderen had gebouwd. Het ‘Molenhûske’ is helemaal gerestaureerd en een heerlijke plek voor kinderen om verhalen te bedenken in hun eigen wereldje.

Kortom
Villa Rozenhof is betoverend mooi, een familiehuis dat u de ruimte geeft. Bent u nieuwsgierig geworden naar dit charmante huis? We laten het u met veel plezier zien.

Algemeen:
Bouwjaar: 1933
Onderhoud: Goed
Isolatie: Platte dak dakisolatie, gevelisolatie, gedeeltelijk dubbel glas, voorzetbeglazing
Verwarming: Heteluchtverwarming ( Brink 2007) (De ketel is in 2014 volledig gereviseerd)
Bestemming: Wonen
Parkeren: Ruime parkeergelegenheid op eigen terrein

Inhoud: 1.102 m³
Woonoppervlakte: 237 m²
Overig inpandige ruimte: 86 m²
Externe bergruimte: 26 m²
Perceeloppervlakte: 3.100 m²
Energielabel: Energieklasse D
Aanvaarding: In overleg

Deze woning is voorzien van een bouwtechnische keuring en een energielabel.

Kenmerken

Overdracht
Vraagprijs
€ 1.045.000 k.k.
Bouw
Soort woonhuis
Villa
Bouwjaar
1933
Energieklasse
D
Slaapkamers
4
Badkamers
1
Oppervlakten en inhoud
Woonoppervlakte
237 m2
Overige inpandige ruimte
86 m2
Gebouwgebonden buitenruimte
5 m2
Externe bergruimte
26 m2
Inhoud
1102 m3
Perceeloppervlakte
3100 m2
faciliteiten
Tuin
Weilanden.
Buiten de bebouwde kom
Landelijk gelegen.
Baerz & Co Property Brochure

Brochure

Video’s

de Haan Schippers Makelaars

Larenseweg 53
7241 CM Lochem

dehaan@dehaanschippers.nl
+31 573 25 82 58

www.dehaanschippers.nl

Informatie / bezichtigingsaanvraag

Jenne de Haan profile image
Jenne de Haan
Real Estate Agent

Een luxe woning kopen in Vorden

Vorden biedt exclusief vastgoed, een gastvrije gemeenschap en hoogwaardige dienstverlening. Historie, landschap en bereikbaarheid trekken veeleisende kopers die privacy en blijvende waarde belangrijk vinden.